Home
Business
Projects & Studies
Commuter & Travel
Safety
Environment & Community
Info Center
State Highway Administration
Business
Projects & Studies
Commuter & Travel
Safety
Environment & Community
Info Center
Contact Us

Signal Plan Locator - Plans

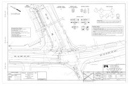
    Location   MD 132 (W BEL AIR) @ MD 132A (BEARDS Hl)/BUSH

PLAN DATE: 5/28/2013
REVISION: C
PLAN ID: 37964
Signal No. 1201320.00
DESIGNER: TMZ
SHEET NUMBER: 1 OF 2
TIMS: L902
CONTRACT: BW996M82
Raster File: hm132sK.tif
DESCRIPTION: REPLACE SIGNAL HANDBOX DUE TO NEW DRIVEWAY
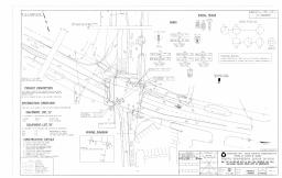
Location: MD 132 (W BELAIR AVE) @ MD 132A (BEARDS HILL RD)/BUSH CHAPEL RD

PLAN DATE: 5/28/2013
REVISION: C
PLAN ID: 37968
Signal No. 1201320.00
DESIGNER: A.M.R.
SHEET NUMBER: 2 OF 2
TIMS: L902
CONTRACT: BW996M82
Raster File: hm132sL.tif
DESCRIPTION: REPLACE SIGNAL HANDBOX DUE TO NEW DRIVEWAY
Location: MD 132 (W BELAIR AVE) @ MD 132A (BEARDS HILL RD)/BUSH CHAPEL RD

PLAN DATE: 6/26/2006
REVISION: B
PLAN ID: 22493
Signal No. 1201320.00
DESIGNER: TMZ
SHEET NUMBER: 1 OF 1
CONTRACT: BW996M82
Raster File: hm132sG.tif
DESCRIPTION: REPLACE EASTBOUND PASSAGE DETECTION
Location: MD 132 (W BELAIR AVE) @ MD 132A (BEARDS HILL RD)/BUSH CHAPEL RD

PLAN DATE: 5/1/2003
REVISION: A
PLAN ID: 15125
Signal No. 1201320.00
DESIGNER: RJM
CONTRACT: HA9192176
Raster File: hm132sD.tif
DESCRIPTION: INSTALL VIDEO DETECTION CAMERA. REMOVE HH & LOOP DETECTOR IN SHOUTHEAST CORNER
Location: MD 132 (W BELAIR AVE) @ MD 132A (BEARDS HILL RD)/BUSH CHAPEL RD

PLAN DATE: 6/30/1999
PLAN ID: 2687
Signal No. 120132A0.00
DESIGNER: KIM
Raster File: hm132s7.tif
Location: MD 132 (W BELAIR AVE) @ MD 132A (BEARDS HILL RD)/BUSH CHAPEL RD

PLAN DATE: 6/30/1999
PLAN ID: 2951
Signal No. 120132A0.00
DESIGNER: R.M.
Raster File: hm132s8.tif
Location: MD 132 (W BELAIR AVE) @ MD 132A (BEARDS HILL RD)/BUSH CHAPEL RD
   Last database update: 2/14/2014 Help     New Search  
Corner Down

 

 
 
707 North Calvert Street Baltimore, Maryland 21202